Local Service Overview

Get Ants Extermination Service in Sherman, TX

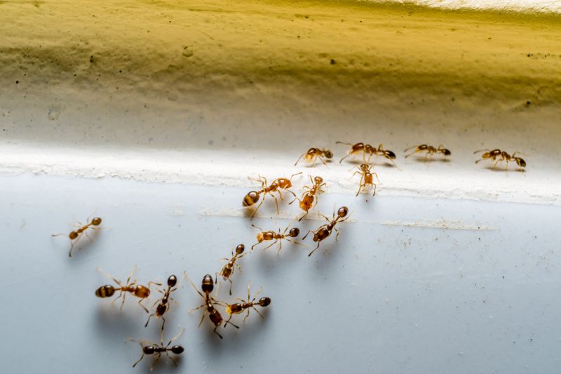
Ants extermination services for Sherman, TX, and nearby areas address ant infestations in homes and businesses, handling nests, entry points, and ongoing prevention.

Sherman, TX

Ants extermination services provide property owners in Sherman, TX, with an effective solution to manage ant infestations that can disrupt daily life. Removing ants helps maintain a clean and comfortable environment, preventing damage to structures, electrical wiring, and stored belongings. By addressing ant problems promptly, property owners can enjoy a safer and more functional space, free from the nuisances and potential hazards associated with these pests.

Engaging professional extermination services also offers benefits related to durability and reduced maintenance. Proper treatment ensures that ant colonies are effectively eliminated, reducing the likelihood of recurring issues and the need for frequent interventions. Additionally, a pest-free property enhances curb appeal, contributing to a well-maintained appearance that can positively impact property value and overall aesthetics.

Get Ants Extermination Service Quotes

  • Ants Extermination - Homeowners experiencing ant invasions in Sherman, TX may need professional extermination services to eliminate colonies.
  • Ants Extermination - Businesses dealing with ant problems in nearby areas can seek expert help to prevent further infestations.
  • Ants Extermination - Property managers managing multi-unit dwellings may require ongoing ant control solutions to protect tenants.
  • Ants Extermination - New construction sites in the region might need pest control services to address potential ant nesting areas before occupancy.
  • Ants Extermination - Residents facing persistent ant issues despite DIY efforts can contact local pros for more effective treatment options.

Get Ants Extermination Service Quotes

Ants Extermination Service
Ants Extermination Service
Ants Extermination Service

Ants extermination services involve the identification and removal of ant colonies from residential, commercial, or industrial properties. Professionals typically conduct thorough inspections to locate nests and determine the species of ants involved. Treatment methods may include the application of targeted baits, insecticidal dusts, or liquid sprays designed to eliminate ants at their source. These services aim to reduce ant populations effectively and prevent future infestations by addressing both visible ants and hidden colonies.

Ant infestations can pose various problems for property owners, including damage to structures, contamination of food supplies, and general nuisance. Certain species of ants, such as carpenter ants, can cause structural damage by burrowing into wood, while others may invade kitchens and pantries, contaminating food items. Additionally, ant presence can lead to increased stress and discomfort for residents or employees. Professional extermination services help resolve these issues by removing existing colonies and implementing preventative measures to discourage future invasions.

Properties that typically utilize ants extermination services include single-family homes, apartment complexes, restaurants, retail stores, and office buildings. Homes often seek pest control to protect food storage areas and prevent damage caused by carpenter ants. Commercial properties such as restaurants and grocery stores may require regular pest management to maintain hygiene standards and comply with health regulations. In multi-unit buildings, professional services can address ant problems that spread between units, ensuring a comprehensive approach to pest management.

Engaging with local pest control providers for ants extermination allows property owners to access tailored solutions suited to their specific needs. These professionals use a combination of inspection, treatment, and preventative strategies to manage ant populations effectively. Whether dealing with a minor nuisance or a significant infestation, working with experienced service providers can help restore comfort and hygiene to residential and commercial environments in areas like Sherman, TX, and surrounding communities.

The overview below groups typical Ants Extermination Service projects into broad ranges so you can see how smaller, mid-sized, and larger jobs often compare in Sherman, TX.

In many markets, a large share of routine jobs stays in the lower and middle ranges, while only a smaller percentage of projects moves into the highest bands when the work is more complex or site conditions are harder than average.

Initial Inspection - The cost for an ant extermination inspection typically ranges from $100 to $200. This fee covers a thorough assessment of the property to identify ant activity and entry points.

Standard Treatment - A standard ant extermination service usually costs between $150 and $300. Prices vary based on the size of the affected area and the extent of ant infestation.

Perimeter Barrier - Applying a perimeter barrier treatment generally costs around $200 to $400. This service helps prevent future ant invasions around the property’s exterior.

Ongoing Maintenance - Regular maintenance plans for ant control can range from $50 to $150 per visit. These visits help ensure long-term protection against ant re-infestation.

Actual totals will depend on details like access to the work area, the scope of the project, and the materials selected, so use these as general starting points rather than exact figures.

Get an Ants Extermination Service Quote

Ants Extermination services involve professionals who identify ant infestations and implement targeted removal strategies to eliminate colonies effectively.

Local pros offering ant extermination can assist with both indoor and outdoor ant control, helping to prevent future invasions around residential and commercial properties.

Ants Extermination specialists use various techniques, including baiting and barrier treatments, to ensure thorough eradication of ant populations.

Services may include inspection, treatment plan development, and follow-up to monitor and maintain ant-free environments.

Professional ant extermination providers are experienced in handling different ant species common to Sherman, TX, and nearby areas.

Contacting local ant extermination experts can help address infestations promptly and reduce the risk of damage or nuisance caused by ants.

Ants Extermination Service

When comparing ant extermination services in Sherman, TX, homeowners should consider the experience of local professionals. An experienced contractor typically has a history of handling a variety of ant infestations, which can contribute to more effective and efficient treatment plans. It is helpful to review the backgrounds of different providers to understand their familiarity with local ant species and common problem areas, ensuring the selected professional has relevant expertise to address specific needs.

Clear communication and well-defined expectations are essential when choosing a pest control provider. Reputable local pros often provide detailed information about their treatment methods, what homeowners can expect during and after service, and any necessary follow-up steps. Establishing transparent expectations helps homeowners feel informed and confident about the process, reducing uncertainty and ensuring the service aligns with their needs.

Reputable references and positive reputation are valuable indicators of a reliable ant extermination service. Homeowners are encouraged to seek out local pros with a history of satisfied clients and positive feedback from the community. Good communication and responsiveness also contribute to a smooth service experience, making it easier to address questions or concerns before, during, and after treatment. Since the site introduces local options rather than performing the work, it is important to contact the pros directly to verify their experience, reputation, and communication practices.

Get an Ants Extermination Service Quote

Property owners in Sherman, TX use Ants Extermination Service services for practical projects around their homes and businesses. The sections below highlight everyday jobs and straightforward project options.

Ants Extermination Service
Ants Extermination Service

Ants extermination services are often sought by property owners in Sherman, TX when ants become a persistent nuisance indoors or outdoors. Common situations include noticing ant trails along walls, entry points around windows and doors, or finding nests in gardens and landscaped areas. Property owners may look for professional assistance to effectively eliminate these pests and prevent future invasions that can disrupt daily activities or compromise cleanliness.

In addition to immediate removal, property owners may seek ants extermination services to address recurring infestations or to safeguard food storage and living spaces. Ant problems can arise from changes in weather, nearby landscaping, or construction activities that disturb ant colonies. Connecting with local pest control providers can help ensure targeted treatments and ongoing prevention strategies tailored to Sherman’s specific environment.

Get an Ants Extermination Service Quote

How do ant extermination services work? Ant extermination services typically involve inspecting the property to identify ant colonies and entry points, followed by targeted treatments such as baits, sprays, or dusts to eliminate ants and their nests.

Are ant extermination treatments safe for pets and children? Most professional ant extermination methods are designed to be safe when applied correctly; however, it is recommended to discuss safety concerns with the service provider before treatment.

How long does an ant extermination treatment last? The duration of effectiveness can vary depending on the treatment method and ant activity level, with some treatments providing protection for several months.

Can ant extermination services prevent future ant infestations? Yes, many service providers offer ongoing maintenance or advice on reducing attractants to help prevent future ant problems.

How can I prepare my home before an ant extermination service? Homeowners are usually advised to clean the treatment areas, remove food and water sources, and inform the service provider of any specific ant activity or problem areas.

Ants Extermination Solutions - Local service providers offer targeted treatments to eliminate ant infestations and prevent future issues.

Inspection and Identification - Pros can assess property conditions to identify ant entry points and nesting sites for effective removal strategies.

Barrier Treatments - Specialists apply exterior and interior barriers to create a protective zone against ant intrusion.

Ongoing Pest Management - Regular maintenance plans help keep ant populations under control and address new infestations promptly.

Ants Extermination Service

Considering Ants Extermination Service for a property in Sherman, TX? The sections above highlight common project types, practical options, and details that often shape the scope of work.

When you are ready, use the quote form to share a few details about your project. Local pros can review the basics and respond with options that match what you have in mind.

Get an Ants Extermination Service Quote

Ants Extermination Quotes

Our Trusted Partners
Cantu Pest Control
Orkin
Hawx Pest Control
Mosquito Shield