Local Service Overview

Get Ants Extermination Service in Corinth, TX

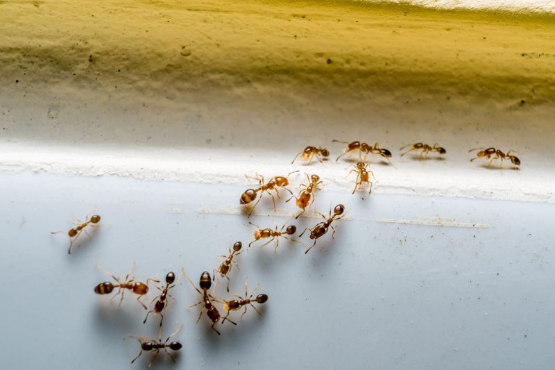
Ants extermination services for property owners in Corinth, TX, address ant infestations, prevent future outbreaks, and handle residential and commercial ant control projects.

Corinth, TX

Ants extermination services in Corinth, TX, are essential for property owners seeking to maintain a comfortable and safe living environment. Infestations can compromise the functionality of outdoor and indoor spaces, leading to potential damage to structures and stored belongings. Professional exterminators utilize targeted treatments to eliminate ant colonies effectively, reducing the likelihood of recurring issues and minimizing disruptions to daily routines. Ensuring a pest-free property enhances overall comfort and provides peace of mind for residents and visitors alike.

In addition to safety and comfort, ants extermination contributes to the durability and curb appeal of a property. Persistent ant problems can lead to unsightly trails and damage to landscaping or wooden structures, diminishing the property's visual appeal. By addressing these issues proactively, property owners can enjoy a well-maintained, attractive exterior that requires less ongoing maintenance. Partnering with local pest control providers helps preserve the property's value and ensures that outdoor spaces remain functional and inviting.

Get Ants Extermination Service Quotes

  • Ants Extermination - When ants invade kitchens or living areas in Corinth, TX, professional extermination services can help eliminate the colony.
  • Ants Extermination - Homes experiencing persistent ant trails or nests in yard debris may require expert pest control solutions.
  • Ants Extermination - Commercial properties in nearby areas facing ant infestations around entry points can benefit from targeted treatment.
  • Ants Extermination - Structures with signs of ant activity in wall voids or beneath flooring might need specialized pest removal services.
  • Ants Extermination - During seasonal ant swarms or when new colonies appear, local pros can provide effective extermination options.

Get Ants Extermination Service Quotes

Ants Extermination Service
Ants Extermination Service
Ants Extermination Service

Ants extermination services involve identifying and eliminating ant infestations within residential, commercial, or industrial properties. Trained service providers typically conduct thorough inspections to determine the extent of the ant problem and locate nesting sites. Treatment methods may include the application of targeted baits, insecticides, or barriers designed to eliminate ants at their source and prevent future invasions. These services aim to create a pest-free environment by addressing the specific species of ants present and implementing effective control strategies.

The primary issues that ants extermination services help resolve include property damage, contamination, and nuisance problems caused by ant colonies. Certain ant species, such as carpenter ants, can cause structural damage by burrowing into wood, while others may invade food storage areas, leading to contamination and hygiene concerns. Additionally, ant infestations can become a significant nuisance, disrupting daily activities and creating discomfort for residents or employees. Professional extermination helps manage these problems efficiently, reducing the risk of recurring infestations and associated damages.

Properties that typically utilize ants extermination services encompass a wide range of types, including single-family homes, apartment complexes, and commercial buildings. Residential properties often seek assistance to protect food supplies and maintain comfort, especially in kitchens and pantry areas. Commercial establishments, such as restaurants, grocery stores, and warehouses, frequently require pest control to uphold sanitation standards and prevent business disruptions. Additionally, property managers and landlords may engage pest control providers to maintain the overall integrity and appeal of rental units and common areas.

Engaging local pest control professionals for ants extermination ensures that the specific needs of each property are addressed with tailored solutions. These experts are equipped to handle different levels of infestation, from minor nuisance problems to severe colony outbreaks. Regular inspections and preventative treatments can also be part of ongoing pest management plans, helping property owners maintain a pest-free environment over time. Contacting a local service provider can facilitate effective ant control tailored to the unique conditions of each property type.

The overview below groups typical Ants Extermination Service projects into broad ranges so you can see how smaller, mid-sized, and larger jobs often compare in Corinth, TX.

In many markets, a large share of routine jobs stays in the lower and middle ranges, while only a smaller percentage of projects moves into the highest bands when the work is more complex or site conditions are harder than average.

Per-Visit Treatment - Typically costs between $100 and $300 for a single ant extermination visit. Prices may vary depending on the size of the affected area and the severity of the infestation.

Initial Inspection and Quote - Expect to pay around $50 to $150 for an initial inspection and customized treatment plan. Some providers include this fee in the overall service cost.

Quarterly Service Plans - Ongoing quarterly treatments usually range from $200 to $500 annually. These plans help maintain ant control and prevent future infestations.

Per-Unit or Per-Area Pricing - Costs can be calculated based on the size of the property, with prices typically starting at $150 for small homes and increasing for larger properties or commercial spaces.

Actual totals will depend on details like access to the work area, the scope of the project, and the materials selected, so use these as general starting points rather than exact figures.

Get an Ants Extermination Service Quote

Ants Extermination - Local pest control providers offer targeted ant extermination services to eliminate colonies and prevent future infestations.

Residential Ant Control - Pros provide treatment options tailored for homes in Corinth, TX, to safeguard living spaces from ant invasions.

Commercial Ant Removal - Businesses can connect with specialists experienced in managing ant problems in commercial properties to maintain a pest-free environment.

Ant Barrier Treatments - Service providers utilize barrier methods to create effective defenses around structures, reducing the likelihood of ant entry.

Eco-Friendly Ant Solutions - Some local experts offer environmentally conscious approaches to ant control that address infestations safely and effectively.

Preventive Ant Services - Professionals can assist with ongoing prevention strategies to minimize the risk of future ant issues in residential and commercial settings.

Ants Extermination Service

When choosing a professional for ant extermination services, it’s important to consider the experience and reputation of local contractors. Homeowners should look for providers with a proven track record of handling ant infestations effectively in the Corinth, TX area. Reputable references and reviews can offer insights into the quality of service and reliability of each pros, helping to inform a confident decision. While the site introduces various local options, it’s recommended to verify the background and experience of each contractor to ensure they meet individual needs.

Clear communication and written expectations are essential components of a successful service experience. Pros should provide detailed descriptions of their treatment methods, what homeowners can expect during and after the service, and any necessary follow-up steps. Having these expectations documented helps prevent misunderstandings and ensures that homeowners are fully informed about the process. When evaluating local providers, it’s beneficial to ask about their approach to communication and how they handle client inquiries to foster a smooth service experience.

The site functions as a neutral platform connecting homeowners with local ant extermination service providers and does not perform the work itself. It’s advisable to contact multiple local pros to compare their offerings, experience, and references. Gathering information from several options can help homeowners find a provider that aligns with their expectations for professionalism and communication. By exploring local options through the platform, homeowners can make more informed choices tailored to their specific ant control needs.

Get an Ants Extermination Service Quote

Property owners in Corinth, TX use Ants Extermination Service services for practical projects around their homes and businesses. The sections below highlight everyday jobs and straightforward project options.

Ants Extermination Service
Ants Extermination Service

Ants extermination services are often sought by property owners in Corinth, TX, facing common household issues such as ant trails in kitchens, bathrooms, or around foundations. These pests can be a persistent nuisance, especially during warmer months when they tend to invade homes in search of food and water. Local service providers can assist with identifying the source of ant infestations and applying targeted treatments to help restore comfort and cleanliness to residential and commercial properties.

Property owners may also look for ants extermination when noticing increased ant activity around outdoor areas, such as gardens, patios, or entry points. In addition to the inconvenience, ants can pose health concerns and damage to plants or stored goods. Engaging experienced local pros can help implement effective solutions to prevent future invasions and maintain a pest-free environment in and around properties in Corinth, TX.

Get an Ants Extermination Service Quote

How do ant extermination services work? Ant extermination services typically involve inspecting the property to identify ant entry points and nests, followed by applying targeted treatments to eliminate the colonies and prevent future infestations.

Are ant treatments safe for pets and children? Many ant extermination methods are designed to be safe for homes, but it is recommended to discuss any concerns with local service providers to ensure appropriate products are used around pets and children.

How long does an ant extermination treatment last? The effectiveness duration can vary depending on the treatment method and the extent of the infestation; local pros can provide guidance on maintenance and follow-up services.

Will I need multiple treatments to control an ant problem? Some ant infestations may require more than one treatment to fully eliminate colonies, especially if the nest is deep or widespread; local professionals can advise on the best approach.

How can I prevent future ant infestations? Preventative measures include sealing entry points, maintaining clean surroundings, and consulting with local pros for ongoing pest management recommendations.

Ants Extermination Methods - Local service providers can implement effective extermination techniques tailored to specific ant species and infestation levels.

Inspection and Identification - Professionals can assess properties to identify ant entry points and nesting areas, providing targeted treatment options.

Baiting and Trapping Solutions - Experts often use baiting systems and traps to eliminate ants while minimizing disruption to the environment.

Preventive Treatments - Service providers can recommend and apply preventive measures to reduce the likelihood of future ant invasions.

Ants Extermination Service

Considering Ants Extermination Service for a property in Corinth, TX? The sections above highlight common project types, practical options, and details that often shape the scope of work.

When you are ready, use the quote form to share a few details about your project. Local pros can review the basics and respond with options that match what you have in mind.

Get an Ants Extermination Service Quote

Ants Extermination Quotes

Our Trusted Partners
Cantu Pest Control
Orkin
Hawx Pest Control
Mosquito Shield