Local Service Overview

Get Ants Extermination Service in Aubrey, TX

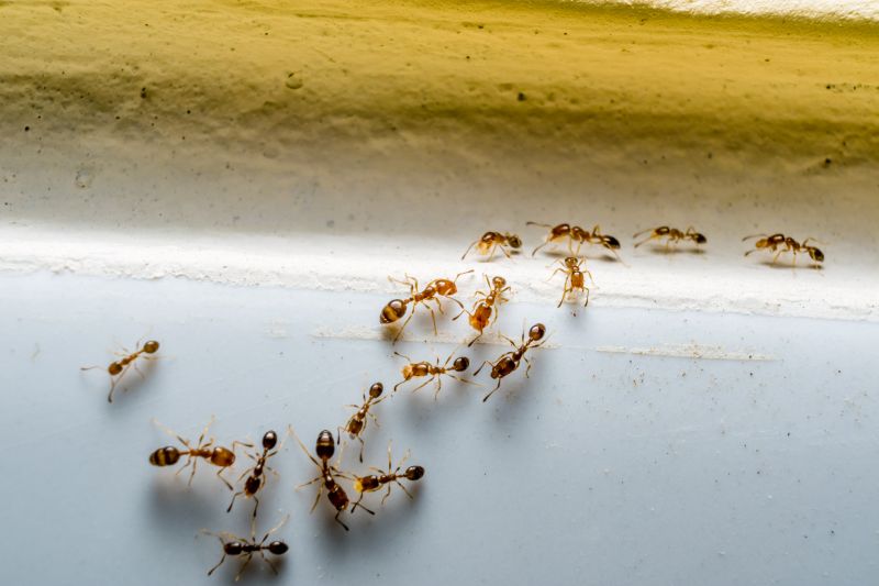
Ants extermination services for property owners in Aubrey, TX, address ant infestations, prevent future invasions, and handle residential or commercial pest control projects.

Aubrey, TX

Ants extermination services are a practical solution for property owners in Aubrey, TX seeking to maintain a comfortable and functional living environment. By addressing ant infestations promptly, property owners can reduce the risk of damage to structures, stored goods, and landscaping, while also preventing the spread of potential allergens and bacteria. Effective extermination helps preserve the durability of the property’s foundation and exterior, contributing to long-term peace of mind and a more enjoyable outdoor space.

Choosing professional ant extermination services offers several benefits, including enhanced curb appeal and reduced maintenance needs. Eliminating ant colonies not only improves the visual appeal of a property but also minimizes the likelihood of recurring issues, saving time and effort in future pest management. These services support a safer, more comfortable home environment by controlling pests that can otherwise become a persistent nuisance.

Get Ants Extermination Service Quotes

  • Ants Extermination - When ants invade kitchens or outdoor spaces in Aubrey, TX, professional extermination services can help eliminate the colony.
  • Ants Extermination - Homes experiencing persistent ant trails or nests in the yard may require targeted treatment from local pest control providers.
  • Ants Extermination - Businesses dealing with ant infestations that threaten hygiene standards can benefit from expert pest management solutions.
  • Ants Extermination - During seasonal ant activity increases, residents in nearby areas may seek professional services to prevent large-scale invasions.
  • Ants Extermination - When ant colonies are found in hard-to-reach places, local exterminators can provide effective treatment options.

Get Ants Extermination Service Quotes

Ants Extermination Service
Ants Extermination Service
Ants Extermination Service

Ants extermination services involve identifying and eliminating ant infestations within residential, commercial, or industrial properties. Professionals typically conduct thorough inspections to locate ant colonies and determine the species involved. Treatment methods may include targeted application of insecticides, baiting systems, and exclusion techniques to prevent future invasions. The goal is to remove existing ant populations effectively and reduce the likelihood of re-infestation through strategic interventions.

These services address common problems caused by ant infestations, such as property damage, contamination of food supplies, and general nuisance. Certain ant species, like carpenter ants, can compromise the structural integrity of wood components, leading to costly repairs. Other types, such as sugar ants or fire ants, can pose health risks or create uncomfortable living conditions. Professional extermination helps manage these issues by eradicating colonies and implementing preventative measures to maintain a pest-free environment.

Ants extermination services are frequently utilized by a variety of property types, including single-family homes, apartment complexes, restaurants, and retail stores. Residential properties benefit from these services by protecting food storage areas and maintaining a comfortable living space. Commercial establishments, especially those involved in food service or hospitality, often require regular pest control to meet health and safety standards. Additionally, property managers and business owners seek professional assistance to ensure their premises remain free of ant problems and compliant with relevant regulations.

Partnering with local pest control providers ensures that property owners receive tailored solutions suited to their specific needs. These professionals use industry-standard techniques to locate and treat ant colonies effectively. Whether dealing with a small nuisance or a significant infestation, engaging experienced extermination services can help restore comfort and safety to various property types. Contacting local providers allows property owners to access expert assistance in managing ant-related issues efficiently.

The overview below groups typical Ants Extermination Service projects into broad ranges so you can see how smaller, mid-sized, and larger jobs often compare in Aubrey, TX.

In many markets, a large share of routine jobs stays in the lower and middle ranges, while only a smaller percentage of projects moves into the highest bands when the work is more complex or site conditions are harder than average.

Per-Visit Cost - Ant extermination services typically range from $100 to $300 per visit, depending on the size of the property and severity of the infestation. Smaller homes may cost closer to $100, while larger properties could be nearer to $300.

Initial Treatment Cost - The initial treatment for ant control usually falls between $150 and $400. This fee often covers inspection, treatment application, and immediate follow-up if needed.

Treatment Package Prices - Service providers may offer package deals ranging from $200 to $600 for multiple treatments over several months. These packages aim to provide ongoing control and prevention.

Additional Service Fees - Extra costs might include attic or wall treatments, which can add $50 to $150 per service. These are typically charged separately from standard treatment fees.

Actual totals will depend on details like access to the work area, the scope of the project, and the materials selected, so use these as general starting points rather than exact figures.

Get an Ants Extermination Service Quote

Ants Extermination - Local pest control providers offer specialized services to eliminate ant infestations in residential and commercial properties. They assess the extent of the problem and implement targeted treatment plans.

Ants Prevention - Service providers can assist with preventing future ant invasions through barrier treatments and advice on reducing attractants around the property. Regular inspections may be recommended.

Ants Inspection - Professionals conduct thorough inspections to identify ant colonies and entry points, helping to develop effective extermination strategies. Inspections can be scheduled for ongoing monitoring.

Ants Baiting - Experts utilize baiting systems to attract and eliminate ant colonies at their source, minimizing the need for extensive chemical applications. This method can be effective for long-term control.

Ants Barrier Treatments - Local pros apply barrier treatments around structures to create a protective zone that deters ants from entering indoor spaces. These treatments are part of integrated pest management plans.

Ants Removal Consultation - Service providers offer consultations to discuss ant infestation issues and recommend tailored extermination solutions suitable for specific property types and situations.

Ants Extermination Service

When comparing local ant extermination service providers, experience is a key factor to consider. Homeowners should look for professionals who have a proven track record in pest control, particularly with ant-specific treatments. An experienced provider will be familiar with common ant species in the area, effective eradication methods, and the best approaches for different property types. Gathering information about a contractor’s history and the types of properties they have serviced can help ensure confidence in their ability to handle the job effectively.

Clear written expectations are essential when choosing an ant extermination service. Reputable local providers typically outline their service scope, what treatments will be used, and any necessary follow-up procedures in a detailed manner. This transparency helps homeowners understand what to anticipate and ensures there are no surprises after the service is completed. It’s advisable to review any written estimates or service agreements carefully, confirming that the scope of work aligns with the homeowner’s needs.

Reputation and communication are vital components in selecting a reliable pest control provider. Homeowners should seek out references or reviews from previous clients to gauge the quality of service and professionalism. Good communication from the service provider includes prompt responses to inquiries, clear explanations of treatment options, and guidance on preventative measures. Connecting with local pros through trusted sources can help identify providers known for trustworthy service and effective communication, making the process smoother and more transparent.

Get an Ants Extermination Service Quote

Property owners in Aubrey, TX use Ants Extermination Service services for practical projects around their homes and businesses. The sections below highlight everyday jobs and straightforward project options.

Ants Extermination Service
Ants Extermination Service

Ants extermination services are often sought by property owners in Aubrey, TX, when they notice persistent ant activity around their homes or businesses. Common situations include discovering ant trails in kitchens, bathrooms, or outdoor areas, which can indicate a larger infestation. Property owners may also seek professional assistance if ants begin to invade food storage areas or if previous DIY efforts have failed to eliminate the problem effectively.

In addition to immediate infestations, property owners might look for ant extermination services to prevent future issues. This is especially relevant in areas prone to ant activity due to climate or landscaping, where ongoing treatment can help maintain a pest-free environment. Local service providers can offer tailored solutions to address specific ant species common in Aubrey, TX, helping to protect properties from recurring problems.

Get an Ants Extermination Service Quote

How do ant extermination services work? Ant extermination services typically involve inspecting the property to identify ant entry points and nests, then applying targeted treatments to eliminate colonies and prevent future infestations.

Are ant extermination treatments safe for pets and children? Most extermination treatments are designed to be safe when applied by professionals, but it is advisable to discuss any concerns with the service provider before treatment.

How long does an ant extermination treatment last? The effectiveness duration varies depending on the treatment method and severity of the infestation; a local service provider can offer guidance on maintenance and follow-up options.

Can ant extermination services prevent future infestations? Yes, professional treatments often include recommendations and barrier methods to help reduce the likelihood of ants returning.

How do I prepare my home for ant extermination services? Preparation may include cleaning the area, removing food sources, and informing the service provider of any visible ant activity to ensure effective treatment.

Ants Removal Solutions - Local pest control providers offer targeted treatments to eliminate ant colonies and prevent future infestations.

Inspection and Identification - Pros can identify ant species and assess entry points to develop effective extermination strategies.

Barrier Treatments - Service providers may apply barrier methods around properties to deter ants from entering indoor spaces.

Ongoing Pest Management - Regular inspections and treatments help maintain ant-free environments and address new activity promptly.

Ants Extermination Service

Considering Ants Extermination Service for a property in Aubrey, TX? The sections above highlight common project types, practical options, and details that often shape the scope of work.

When you are ready, use the quote form to share a few details about your project. Local pros can review the basics and respond with options that match what you have in mind.

Get an Ants Extermination Service Quote

Ants Extermination Quotes

Our Trusted Partners
Cantu Pest Control
Orkin
Hawx Pest Control
Mosquito Shield