Local Service Overview

Get Ants Extermination Service in Carrollton, TX

Ants extermination services for property owners in Carrollton, TX, and nearby areas address ant infestations, prevent future invasions, and handle residential and commercial pest control projects.

Carrollton, TX

Ants extermination services are essential for property owners in Carrollton, TX seeking to maintain a comfortable and safe living environment. Effective pest control helps prevent ant infestations that can disrupt daily routines, damage property structures, and compromise hygiene. By addressing ant issues promptly, property owners can enjoy a more functional space with reduced concerns about potential property damage and the need for ongoing maintenance.

Choosing professional ant extermination also offers benefits related to durability and curb appeal. Proper treatment ensures that ant populations are effectively managed, leading to long-lasting results that minimize future problems. Additionally, a pest-free exterior enhances the overall appearance of the property, contributing to a more inviting and well-maintained look for residents and visitors alike.

Get Ants Extermination Service Quotes

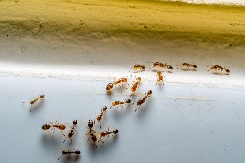
  • Ants Infestation - when ants invade homes or businesses, requiring professional extermination to eliminate colonies.
  • Ant Trails - if visible ant trails are present around a property, pest control services can help address the issue.
  • Kitchen Ant Problems - in cases where ants are found in kitchens or food storage areas, expert treatment is often needed.
  • Outdoor Ant Nests - when outdoor ant nests are near structures or landscaping, local exterminators can provide targeted solutions.
  • Repeated Ant Sightings - ongoing ant sightings despite basic cleaning may indicate a larger infestation needing professional intervention.

Get Ants Extermination Service Quotes

Ants Extermination Service
Ants Extermination Service
Ants Extermination Service

Ants extermination services involve identifying and eliminating ant infestations within residential, commercial, or industrial properties. Service providers typically conduct thorough inspections to locate ant colonies and determine the species involved. Treatment methods may include targeted baiting, trapping, or applying insecticides to affected areas to eradicate the colony and prevent future invasions. These services aim to eliminate visible ants and address the root causes of the infestation, helping to restore a pest-free environment.

Ant problems can cause significant nuisances and potential health concerns, especially when ants invade kitchens, pantries, or food storage areas. They can contaminate food supplies and create unsanitary conditions, which may lead to further pest issues or attract other unwanted critters. Ant extermination services help resolve these issues by removing the pests efficiently and implementing measures to reduce the likelihood of recurrence. Proper treatment can also prevent structural damage that some ant species may cause over time.

Various types of properties utilize ant extermination services, including single-family homes, apartment complexes, restaurants, and retail stores. Residential properties often seek assistance to protect food supplies and maintain cleanliness, while commercial establishments may require ongoing pest management to meet health and safety standards. Property managers and business owners typically contract with local pest control providers to ensure a prompt and effective response to ant infestations, maintaining a pest-free environment for residents, employees, and customers.

Professional ant extermination services are designed to address both immediate infestations and long-term prevention. Service providers use proven techniques tailored to the specific property and ant species involved. They focus on removing existing colonies and implementing preventative strategies to minimize future invasions. Contacting local pest control experts can help property owners and managers find effective solutions to manage ant problems and maintain a clean, pest-free space.

The overview below groups typical Ants Extermination Service projects into broad ranges so you can see how smaller, mid-sized, and larger jobs often compare in Carrollton, TX.

In many markets, a large share of routine jobs stays in the lower and middle ranges, while only a smaller percentage of projects moves into the highest bands when the work is more complex or site conditions are harder than average.

Initial Inspection - The cost for an ant inspection typically ranges from $50 to $150, depending on the size of the property and extent of the infestation. Some providers may include a basic assessment as part of a larger treatment plan.

Perimeter Treatment - Applying ant control around a home’s exterior usually costs between $100 and $300. Prices can vary based on the property’s size and the complexity of the treatment area.

Spot Treatments - Targeted ant treatments inside a home generally cost between $75 and $200 per session. The price depends on the number of affected areas and severity of the infestation.

Ongoing Service Plans - Regular ant control service plans can range from $200 to $500 annually. These plans often include periodic treatments and inspections to prevent future infestations.

Actual totals will depend on details like access to the work area, the scope of the project, and the materials selected, so use these as general starting points rather than exact figures.

Get an Ants Extermination Service Quote

Ants Extermination - Local pest control providers in Carrollton, TX, offer specialized services to eliminate ant infestations and prevent future issues.

Residential Ant Control - Service providers assist homeowners in treating indoor and outdoor spaces to remove ants and safeguard living areas.

Commercial Ant Extermination - Businesses can contact local pros to address ant problems in commercial properties, ensuring a pest-free environment.

Natural and Chemical Treatment Options - Local experts provide a range of treatment methods to suit different needs and preferences for ant control.

Ant Prevention Services - Pest control specialists advise on and implement measures to reduce the likelihood of ant re-infestation.

Emergency Ant Pest Removal - Immediate assistance is available from local providers for urgent ant infestations requiring swift action.

Ants Extermination Service

When comparing ants extermination services, experience is an important factor to consider. Local professionals often have extensive knowledge of the specific ant species common in areas like Carrollton, TX, and nearby communities. An experienced service provider can identify the type of ants present and recommend effective treatment methods tailored to the situation. Reviewing the background and length of service of local contractors can help homeowners gauge their familiarity with local pest issues, ensuring that the chosen provider has a proven track record of handling similar cases successfully.

Clear and written expectations are essential when selecting an ants extermination provider. Reputable local pros typically offer detailed information about their treatment processes, what homeowners can expect during and after the service, and any necessary follow-up steps. Having these expectations documented helps prevent misunderstandings and ensures that homeowners are informed about the scope of work, potential limitations, and any precautions needed after treatment. This transparency can contribute to a smoother experience and better results.

Reputable references and effective communication are also key considerations. Local service providers with positive references from previous clients can offer insights into their reliability and quality of work. Additionally, open and responsive communication from the pros-whether through email, messaging, or in-person discussions-helps homeowners feel confident in their choice and allows for any questions or concerns to be addressed promptly. Since the site introduces local options rather than performing the work itself, it’s important to contact the individual pros directly to verify their reputation and communication style before making a decision.

Get an Ants Extermination Service Quote

Property owners in Carrollton, TX use Ants Extermination Service services for practical projects around their homes and businesses. The sections below highlight everyday jobs and straightforward project options.

Ants Extermination Service
Ants Extermination Service

Ants extermination services are commonly sought after by property owners in Carrollton, TX, facing persistent ant problems in residential or commercial spaces. These pests can invade kitchens, bathrooms, and other areas, creating discomfort and potential sanitation concerns. Property owners often look for professional assistance to effectively eliminate ant colonies and prevent future infestations, especially when DIY methods prove ineffective or temporary.

In many cases, property owners in Carrollton may need ant extermination services due to seasonal increases in ant activity or the discovery of large colonies near their property. Factors such as nearby landscaping, food storage, or moisture issues can attract ants, prompting owners to seek the expertise of local pest control providers. Connecting with experienced professionals can help address these issues efficiently and restore comfort to the affected spaces.

Get an Ants Extermination Service Quote

How do ant extermination services work? Ant extermination services typically involve inspecting the property to identify ant colonies, applying targeted treatments to eliminate ants at their source, and providing recommendations to prevent future infestations.

Are the treatments safe for pets and children? Many ant extermination methods are designed to be safe for pets and children when applied by professional service providers; it’s advisable to discuss specific concerns with the chosen contractor.

How long does an ant extermination treatment last? The duration of effectiveness can vary depending on the treatment method and level of infestation, with some services offering ongoing monitoring or follow-up options.

Can extermination services prevent future ant problems? Yes, professional exterminators often provide advice and treatments aimed at reducing the likelihood of future ant invasions through habitat elimination and barrier methods.

How can I prepare my home for ant extermination? Preparation may include cleaning the property, removing food and water sources, and informing the service provider of specific problem areas to ensure effective treatment.

Ants Extermination Techniques - Local service providers utilize a variety of methods to effectively eliminate ant infestations, including baiting and targeted treatments.

Identifying Ant Entry Points - Pros can assess properties to locate and seal common entry points, reducing the likelihood of future ant invasions.

Preventative Ant Control Advice - Service providers offer guidance on removing attractants and maintaining a clean environment to discourage ants.

Ongoing Monitoring and Maintenance - Regular inspections and treatments help ensure ant problems remain under control over time.

Ants Extermination Service

Considering Ants Extermination Service for a property in Carrollton, TX? The sections above highlight common project types, practical options, and details that often shape the scope of work.

When you are ready, use the quote form to share a few details about your project. Local pros can review the basics and respond with options that match what you have in mind.

Get an Ants Extermination Service Quote

Ants Extermination Quotes

Our Trusted Partners
Cantu Pest Control
Orkin
Hawx Pest Control
Mosquito Shield