Local Service Overview

Get Ants Extermination Service in Little Elm, TX

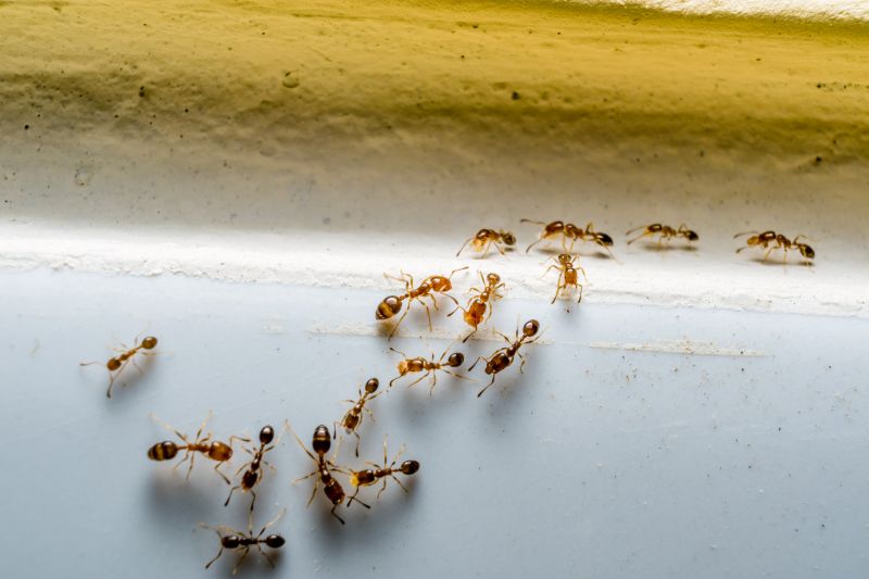
Ants extermination services for property owners in Little Elm, TX, and nearby areas address ant infestations, prevent future outbreaks, and handle residential and commercial pest control projects.

Little Elm, TX

Ants extermination services are a practical solution for property owners in Little Elm, TX seeking to maintain a comfortable and safe living or working environment. Ant infestations can disrupt daily routines, compromise cleanliness, and potentially lead to structural damage if left unaddressed. Professional exterminators utilize targeted treatments to effectively eliminate colonies, helping to restore functionality and peace of mind for residents and business owners alike.

In addition to pest removal, these services offer benefits that enhance curb appeal and reduce ongoing maintenance needs. By preventing future ant invasions, property owners can enjoy a more durable and attractive exterior, minimizing the need for repeated interventions. Proper extermination also contributes to a safer, more inviting space, supporting overall property value and long-term enjoyment of the property.

Get Ants Extermination Service Quotes

  • Ants Extermination Services - individuals dealing with ant infestations in residential or commercial properties can seek professional assistance to eliminate colonies.
  • Ants Extermination Services - those experiencing persistent ant problems in areas like Little Elm, TX, and nearby communities may need targeted pest control solutions.
  • Ants Extermination Services - property owners noticing ant activity around kitchens, basements, or outdoor spaces might consider expert treatments to address the issue.
  • Ants Extermination Services - residents in regions prone to ant invasions can contact local service providers for effective ant control options.
  • Ants Extermination Services - anyone preparing for a property inspection or seeking to prevent future ant infestations may benefit from professional pest management services.

Get Ants Extermination Service Quotes

Ants Extermination Service
Ants Extermination Service
Ants Extermination Service

Ants extermination services involve identifying and eliminating ant infestations within residential, commercial, or industrial properties. Professionals typically conduct thorough inspections to locate ant colonies and entry points, utilizing targeted treatment methods to eradicate the pests. These services often include the application of specialized baits, barriers, and insecticides designed to eliminate ants at both the colony and individual levels, helping to prevent future invasions. The goal is to restore a pest-free environment by addressing the root causes of the infestation and implementing effective control measures.

Ant problems can cause significant inconvenience and property damage, especially when infestations go unchecked. Ants can invade kitchens, pantries, and other areas where food is stored, contaminating supplies and creating unsanitary conditions. Certain species, such as fire ants, pose additional risks due to their painful stings and aggressive behavior. Extermination services help solve these issues by removing the pests and reducing the likelihood of recurring problems, contributing to a cleaner and safer living or working space.

Properties that typically utilize ants extermination services include single-family homes, apartment complexes, restaurants, and retail stores. Residential properties often seek treatment to protect food storage areas and maintain hygiene standards, while commercial establishments may require ongoing pest management to comply with health regulations. Additionally, warehouses and food processing facilities frequently rely on professional extermination to prevent infestations that could disrupt operations or lead to costly damages.

Engaging with local pest control providers for ants extermination services ensures tailored solutions suited to specific property needs. These professionals assess the severity of the infestation and recommend appropriate treatment strategies to effectively eliminate ants. Regular inspections and follow-up treatments may also be part of ongoing pest management plans, helping property owners maintain a pest-free environment over time. Contacting local experts can provide peace of mind and help address ant issues promptly and efficiently.

The overview below groups typical Ants Extermination Service projects into broad ranges so you can see how smaller, mid-sized, and larger jobs often compare in Little Elm, TX.

In many markets, a large share of routine jobs stays in the lower and middle ranges, while only a smaller percentage of projects moves into the highest bands when the work is more complex or site conditions are harder than average.

Initial Inspection - The cost for an ant extermination inspection typically ranges from $50 to $150. This fee covers a thorough assessment of the infested areas to determine the extent of the problem.

Per-Visit Treatment - Single-treatment services generally cost between $100 and $300. The price varies based on the size of the property and the severity of the ant infestation.

Ongoing Pest Control - Monthly pest control plans for ant prevention usually fall within $40 to $70 per visit. These services help maintain a pest-free environment over time.

Specialized Treatments - For targeted or advanced ant control methods, prices can range from $200 to $500. These treatments may include baiting, barrier applications, or other specialized techniques.

Actual totals will depend on details like access to the work area, the scope of the project, and the materials selected, so use these as general starting points rather than exact figures.

Get an Ants Extermination Service Quote

Ants Extermination services involve professional techniques to eliminate ant colonies from residential and commercial properties in Little Elm, TX and nearby areas.

Local ant extermination providers use targeted treatments to address infestations and prevent future ant activity.

These services are suitable for homes, restaurants, and other businesses experiencing ant problems in the region.

Pros offering ant extermination may assess the extent of the infestation and recommend appropriate treatment options.

Expert ant control services focus on removing existing ants and implementing measures to reduce the likelihood of re-infestation.

Contacting local pest control providers for ant extermination ensures tailored solutions for specific property needs in Little Elm, TX.

Ants Extermination Service

When evaluating local professionals for ant control services, experience is a key factor to consider. Pros with a long-standing presence in the Little Elm, TX area often have extensive knowledge of common ant species and effective treatment methods. Homeowners can benefit from reviewing the backgrounds of different providers to understand their familiarity with local pest issues, ensuring that the chosen service provider has a proven track record in handling ant infestations similar to those experienced on their property.

Clear communication and well-defined expectations are essential when working with pest control providers. Reputable local pros typically offer detailed information about their service process, including the methods used, treatment areas, and any necessary preparations. This transparency allows homeowners to make informed decisions and helps establish a mutual understanding of the scope and approach of the extermination services, contributing to a smoother experience.

References and reputation play a significant role in selecting a reliable ant extermination service. Homeowners are encouraged to seek out local providers with positive feedback from previous clients or to verify their standing within the community. A strong reputation often indicates consistent quality and professionalism, providing added confidence in the choice of a service provider. Effective communication and reputable references together help ensure that homeowners find a local professional who is dependable and capable of addressing their ant control needs efficiently.

Get an Ants Extermination Service Quote

Property owners in Little Elm, TX use Ants Extermination Service services for practical projects around their homes and businesses. The sections below highlight everyday jobs and straightforward project options.

Ants Extermination Service
Ants Extermination Service

Ants extermination services are often sought by property owners in Little Elm, TX, facing common household intrusions. When ants invade kitchens, pantries, or outdoor spaces, residents may look for professional help to eliminate these pests and prevent future infestations. Local service providers can assess the extent of the ant problem and recommend appropriate treatment options to restore comfort and hygiene in the home.

In addition to visible ant activity, property owners might pursue extermination services to address recurring issues or prevent damage caused by ant colonies. Whether ants are found in gardens, around foundations, or inside living areas, professional pest control specialists can implement targeted solutions. These services help maintain a pest-free environment and protect the property from potential structural or cosmetic damage.

Get an Ants Extermination Service Quote

How do ant extermination services work? Ant extermination services typically involve inspecting the property, identifying ant species and entry points, and applying targeted treatments to eliminate colonies and prevent future infestations.

Are the treatments safe for pets and children? Most ant extermination methods used by local service providers are designed to be safe when applied according to instructions; it is recommended to discuss any concerns with the chosen provider.

How long does an ant extermination treatment last? The effectiveness duration varies depending on the treatment type and infestation severity; a local professional can provide guidance tailored to the specific situation.

Can ant extermination services prevent future infestations? Yes, many providers offer preventative treatments and advice to help reduce the likelihood of ants returning to the property.

How should I prepare my home before an ant extermination service? Preparation may include cleaning the area, removing food and water sources, and providing access to entry points; specific instructions can be obtained from the service provider.

Ant Control Solutions - Local pest control providers offer targeted treatments to eliminate ant infestations and prevent future problems.

Inspection and Identification - Professionals can assess property conditions to identify ant species and determine the most effective extermination methods.

Barrier Treatments - Service providers apply barrier treatments around the property perimeter to keep ants from entering indoor spaces.

Ongoing Monitoring and Prevention - Experts can establish preventative strategies and regular inspections to maintain an ant-free environment.

Ants Extermination Service

Considering Ants Extermination Service for a property in Little Elm, TX? The sections above highlight common project types, practical options, and details that often shape the scope of work.

When you are ready, use the quote form to share a few details about your project. Local pros can review the basics and respond with options that match what you have in mind.

Get an Ants Extermination Service Quote

Ants Extermination Quotes

Our Trusted Partners
Cantu Pest Control
Orkin
Hawx Pest Control
Mosquito Shield